物件一覧】>【売地・分譲地一覧】>【柏下古川稲森 売土地①】

【柏下古川稲森 売土地①】

最終更新日:2026年4月24日(金)

1 kashiwashimokogawa inamori73 land top 2 kashiwashimokogawa inamori73 land second
3 kashiwashimokogawa inamori73 74 75 land 4 kashiwashimokogawa inamori73 land 5 kashiwashimokogawa inamori73 land 6 kashiwashimokogawa inamori73 land 7 kashiwashimokogawa inamori73 land 8 kashiwashimokogawa inamori73 land

※本物件の内容や画像等は参考図であり、また全て現況優先となります。

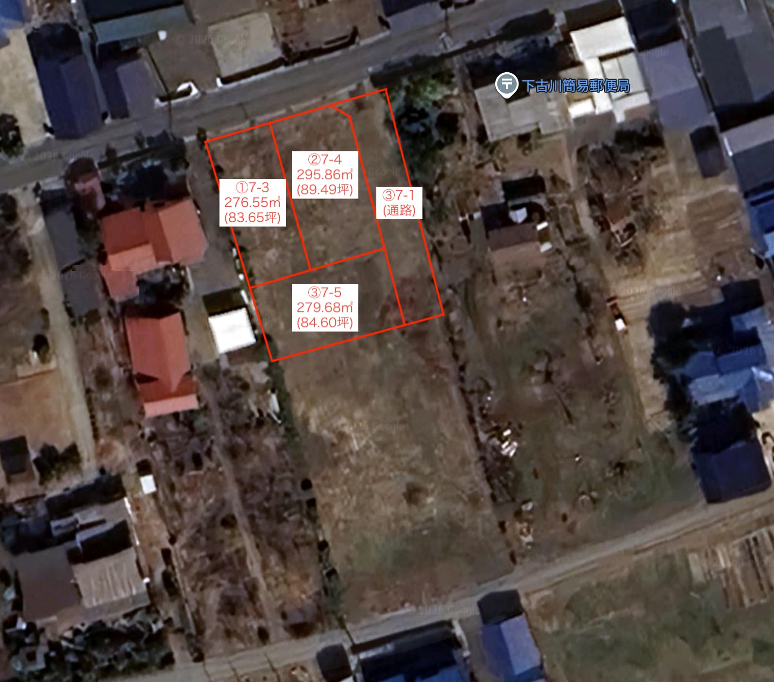
所在地 〒038-3103 青森県つがる市つがる市柏下古川稲森7-3
価格 460万円
面積 [公簿] 276.55㎡ (約83.66坪) 建蔽率 / 容積率 0% / 0%
仲介手数料 330,000円
土地権利 所有権 都市計画 都市計画区域外
地目 宅地 用途地域 用途指定なし
現況 更地 引渡し 即時
取引態様 仲介 国土法届出 不要
交通環境

『五所川原駅』まで車8分
『木造駅』まで車13分

周辺環境

『下古川簡易郵便局』まで徒歩1分
『イオンモールつがる柏』まで車5分

法令制限等 道路斜線制限✕、隣地斜線制限✕、北側斜線制限✕、日影規制✕、景観法◯
セットバック 無  私道負担 無 
接道状況 一方(北側:公道幅員7.0m、間口11.3m / 市道認定道路:下古川下町線)
設備 上水道:前面道路配管◯、引込管✕、宅内メーター✕ / 下水道:前面道路配管◯、宅内公共枡✕(公共下水エリア内)
備考

・現状有姿での引き渡しとなります。
・上下水道の引込工事費用は買主の負担となります。
・敷地内の電柱は売買契約と同時に所有者変更手続きを行います。

お問い合わせ先

有限会社 橘商事不動産
〒037-0063 青森県五所川原市字大町502-4
電話番号:0173-33-1537
営業時間:平日 8:30〜17:00